

Vårt fina hus såldes så snabbt, till en supertrevlig familj från just Aneby. Jag visste inte om ett enda fel, mer än någon liten detalj. Därför såldes huset före besiktningen. Idag kom Anticimex och köparna. Under hela två och en halv timma synades allt in i minsta detalj. Ett hål sågades upp i golvet i källaren, ett hål i en vägg, varje rum, vinden, tegeltaket, alla plåtarbeten, golvbrunnar, klinkergolv, duschar, kök och tvättstuga, allt kollades minutiöst. Det är sällan jag kommer till ett hus, där allt så tipp topp som detta. Det blev ett rent protokoll. En stor lättnad för Birgitta & mig. Som alltid, vi jobbar målinriktat. Det ger ett gott resultat.

Men vilket fint hus du ritat, sa tjänstemannen på Tillsyningsnämnden, det liknar en fin lagård, fortsatte han. Det är en lagård, ser du inte mjölkrummet på långsidan, sa jag. Detta måste placeras lite ute på landet, där hör det hemma. Pappa hade inget riktigt mjölkrum, det skall jag bygga nu.
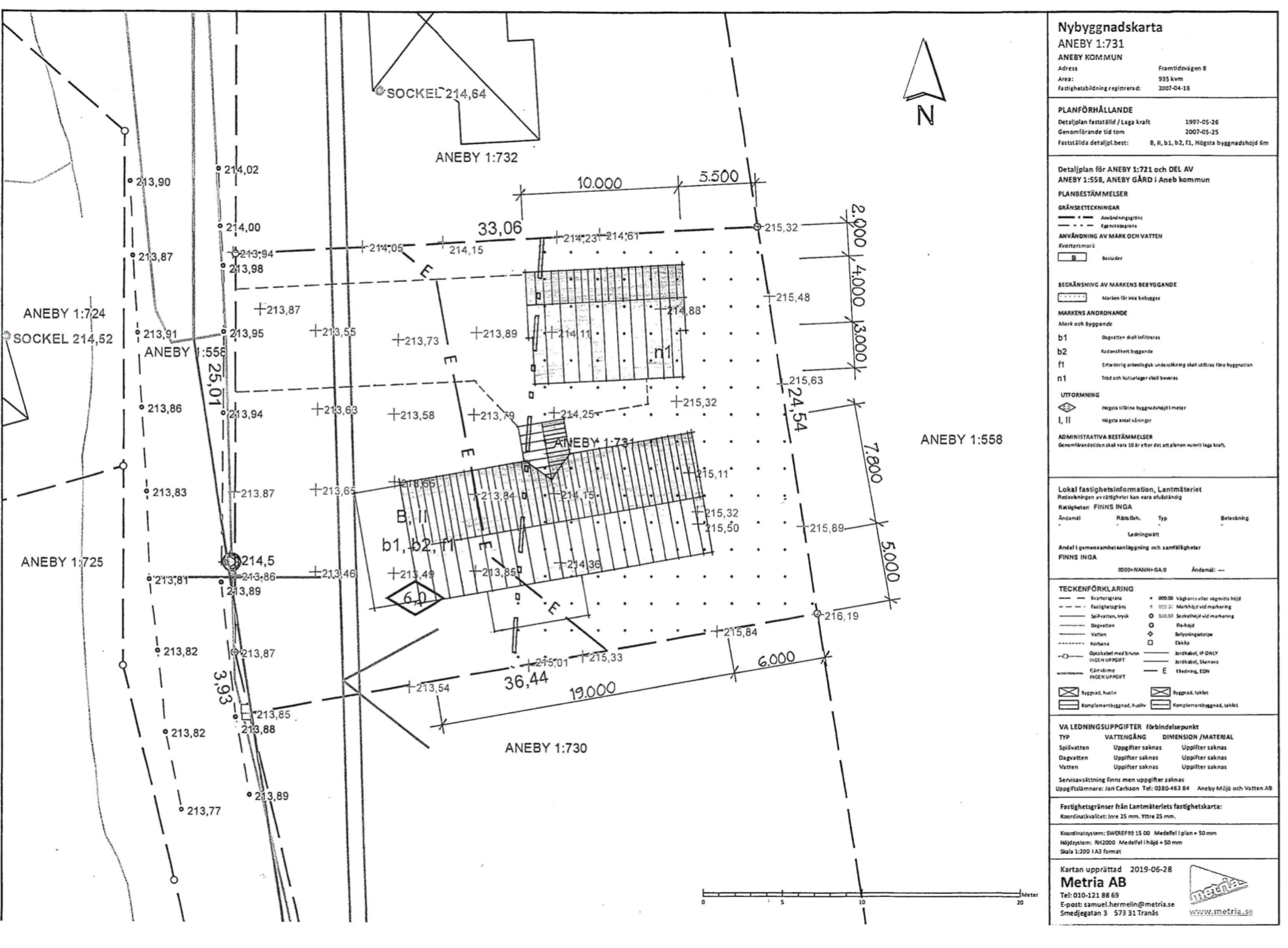
Solen kommer att väcka mig på morgonen, när den går upp över Aneby Gårds gärden. På kvällen följer jag solen ned över Anebysjön. (om kommunen rensar ut lite buskar och träd) samtidigt som braskaminen värmer i det trivsamma allrummet med ryggåstak. På eftermiddagen har vi ett soldäck mot söder.

Jag har möjlighet att sänka ned HERDEN´s stall hela 70 cm i marken. På så sätt blir garaget inte så högt och jag får en perrong att gå rakt in i husbussen utan trappa när vi lastar. HERDEN & lillbilen skall få golvvärme, så de inte fryser fast.

Nu önskar jag att jag kunde dra klockan framåt så snabbt det går, men det måste ta sin tid. Vilken dröm som går i uppfyllelse för Birgitta & mig. Vi kommer att flytta till Framtidsvägen 8 i Aneby om vi får leva. Nu återstår bygglov och startbesked.
Ser bra ut Matts!
Helt i min smak, glöm inte att du ska tömma Rune hemma i garaget👍
Mvh Stekenjokk
Tack, vi brukar tycka lika i de flesta väsentliga delar. Idén med att ha en perrong, till insteget i husbussen, har jag jag ju snott av dig. Självklart kommer Rune att få sitt. Ha det gott där uppe!
Så fina ljus insläpp på huset. Bara att gratulera
Tack, ja så sant, kanske blir det svårt att smyga runt. Men vi bor ju på landet, då blir det ingen insyn.
Vad härligt att få bygga nytt och så som man vill ha det. Hoppas nu inte detta bygglov stannar upp hela processen.
Ja detta är så spännande. En dröm sedan många år tillbaka, som nu blir verklighet.
Hej
Du har två sidor mot väster, enligt ritningen på huset! Ingen åt söder.
Jag vet, ett litet fel av min arkitekt. Jag såg det inte4 förrän jag publicerat.
Blir bra det där,en dröm för er som slår in,härligt värre!
Ha det gott/Lycka Till Kram
Visst är det roligt att drömmar kan förverkligas. Ni har er kvar. Välkomna när vi flyttat in.
Framtids kram
Grattis till en spännande fortsättning i livet.
Tack det var bra författat!
Va roligt. Det där med perrong var ju en fantastisk idé.
Jag har knyckt idén från andra. Nu är det din tur.